欢迎访问河北港嵘检测有限公司官网!
首页
关于我们
公司简介
信息公开
机构信息
检测检验业绩
业务范围
收费标准
联系我们
首页
关于我们
公司简介
信息公开
机构信息
检测检验业绩
业务范围
收费标准
联系我们
首页
检测检验业绩
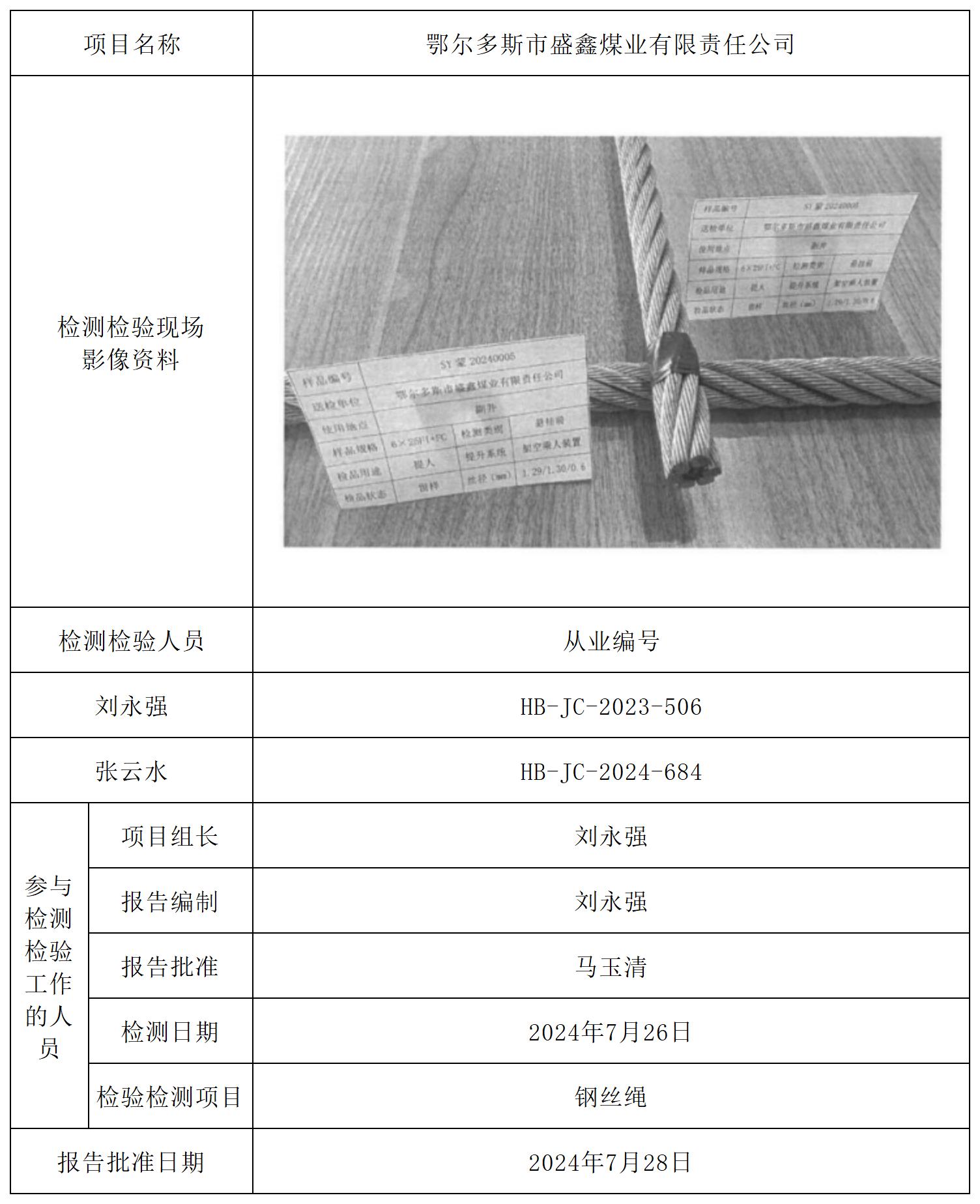
鄂尔多斯市盛鑫煤业有限责任公司
鄂尔多斯市盛鑫煤业有限责任公司
发布于: 2024-07-28 00:00
阅读:
0
分享